About 409 W Scenic Drive
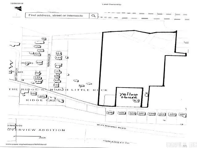
The property is approximately 10 acres. Sellers have developed an unrecorded subdivision plat indicating a possibility of 22 lots. This will be provided to interested buyers.
Features of 409 W Scenic Drive
| MLS® # | 20025659 |
|---|---|
| Price | $175,000 |
| Acres | 10.00 |
| Type | Vacant Land |
| Sub-Type | Acreage |
| Status | Active |
Community Information
| Address | 409 W Scenic Drive |
|---|---|
| Area | North Little Rock (West/Crystal Hill) |
| Subdivision | Broadview |
| City | North Little Rock |
| County | Pulaski |
| State | AR |
| Zip Code | 72118 |
Amenities
| Utilities | Sewer-Public, Water-Public, Elec-Municipal (+Entergy), Gas-Natural |
|---|---|
| View | Sloped |
| Is Waterfront | No |
Exterior
| Lot Description | Sloped |
|---|
Additional Information
| Date Listed | August 14th, 2020 |
|---|---|
| Days on Market | 1900 |
| Foreclosure | No |
| Short Sale | No |
Listing Details
| Agent | Bob Holcomb |
|---|---|
| Office | Adkins & Associates Real Estate |
